Mogielnica
Ostatnia zmiana: 2024-04-17
| Opis ogólny |
|---|
|
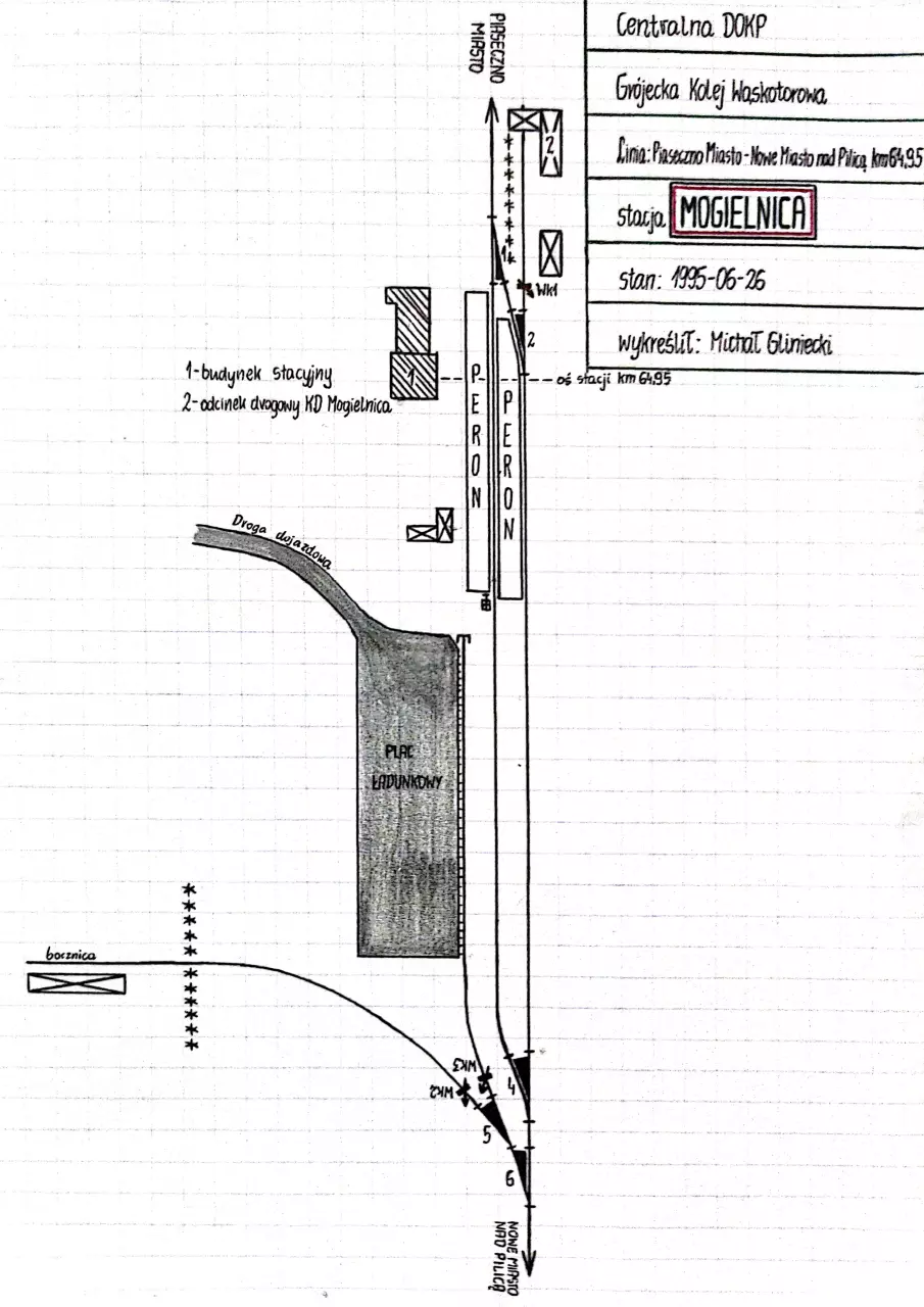
Mogielnica to dawna wąskotorowa stacja kolejowa w Górkach-Izabelinie, w gminie Mogielnica, w województwie mazowieckim, w Polsce. Jest położona na trasie Grójeckiej Kolei Dojazdowej, około 5 km od Mogielnicy. Takie umiejscowienie stacji wynikało z wąskiej zabudowy centrum Mogielnicy podczas budowy linii kolejowej oraz z położenia Mogielnicy w głębokiej dolinie Mogielanki. Po raz pierwszy tymczasową wąskotorową linię kolejową doprowadzono z Grójca do Mogielnicy w maju 1915 roku. Została ona wybudowana przez wojsko rosyjskie w celu zaopatrzenia oddziałów stacjonujących na rosyjsko-niemieckiej linii frontu przebiegającej wtedy wzdłuż Pilicy. Planowano przedłużenie linii kolejowej do samego frontu, jednak niemiecka ofensywa w lecie 1915 roku zmusiła wojska rosyjskie do wycofania. W drugiej połowie lipca 1915 roku tymczasowa linia wojskowa została rozebrana przez wycofujące się oddziały rosyjskie[2]. Odbudowa linii kolejowej z Grójca do Mogielnicy rozpoczęła się w lipcu 1916 roku. 25 października 1917 roku oddano do użytku odcinek spomiędzy Kozietułami a Mogielnicą wraz ze stacją, która pełniła przez trzy lata funkcję stacji końcowej Kolei Grójeckiej[1]. 9 października 1920 roku oddano do użytku budowany pd 1919 roku odcinek do Brzostowca, stanowiący przedłużenie linii z Mogielnicy na południe[3]. W obrębie stacji znajdował się zachowany budynek dworcowy, który pełnił w 2021 roku funkcje mieszkaniowe, mijanka, ładownia z kilkoma bocznicami do rozładunku towarów, waga wagonowa o nośności 25 ton i długości 6 metrów, a także wieża ciśnień z pompami napędzanymi maszyną parową oraz silnikiem elektrycznym[4]. Stacja obsługiwała rozkładowy ruch pasażerski do 1 stycznia 1988 roku, zaś ruch towarowy został zamknięty 1 września 1996 roku[5]. Ruch pociągów turystycznych został wstrzymany w maju 2001 roku, zaś ostatni pociąg techniczny dojechał na stację w lipcu 2002 roku. Od tego czasu stacja nie obsługiwała ruchu kolejowego. Opis ogólny: Na terenie stacji znajduje się jedyna zachowana (choć w stanie szczątkowym) waga wagonowa. (info: Robert Kowalczyk, 2005-07-30). Była to jedyna stacja na linii grójeckiej z czynnym bufetem gastronomicznym. |
| Dane tabelaryczne | ||
|---|---|---|
| Województwo: | mazowieckie | |
| dodatkowe tory: | są, niezdatne do eksploatacji | |
| budynki dworcowe: | częściowo zamieszkany, stan zewnętrzny średni | |
| budynki obsługi taboru: | nieużywana w stanie dobrym | |
| zadaszenie peronów: | nie ma i nie było | |
| semafory: | świetlne wjazdowe zlikwidowane | |
| dojście na perony (przejścia nad i podziemne, windy…): |
Przejście podziemne: nie ma, być może było Przejście nadziemne: nie ma i nie było |
|
| kasa/biletomat: | zlikwidowana w 1986 r. | |
| nastawnie, strażnice, posterunki: | Mg w budynku dworca zlikwidowana | |
| wieża wodna: | była, ale obecnie już nie istnieje | |
| perony: |
Perony: 2 Krawędzie peronowe: 3 |
|
| Linie przechodzące przez stację | |||
|---|---|---|---|
| [Pokaż/ukryj poza zasięgiem] | |||
| 64,950 | Warszawa Mokotów – Nowe Miasto nad Pilicą | ||
| Mogielnica – bocznice | |||
| Stan linii « Pokaż/ukryj | |
|---|---|
| ruch pasażerski i towarowy | |
| ruch towarowy i pasażerski sezonowy | |
| ruch towarowy i pasażerski weekendowy | |
| ruch towarowy i turystyczny | |
| ruch pasażerski | |
| ruch towarowy | |
| ruch pasażerski sezonowy | |
| ruch pasażerski weekendowy | |
| ruch turystyczny | |
| ruch drezynowy | |
| nieczynna | |
| nieprzejezdna | |
| rozebrana, zmienione przeznaczenie | |
| rozebrana | |
| w budowie/nie ukończona | |
| projektowana/nie zrealizowana | |
| brak danych | |
| odcinek jeszcze nie powstał | |
| linia wielotorowa | |
| | | linia zelektryfikowana |
| Nazwa | punkt czynny |
| Nazwa | punkt nieczynny |
| Nazwa | punkt zlikwidowany |
| węzeł lub odejście torów | |
| galeria | |
| Znajdź stacje w pobliżu |
|---|
Jeżeli masz jakieś materiały, które powinny Twoim zdaniem znaleźć się na tej stronie - wyślij je do nas.
Uzupełnij dane
|
Napisz email do redakcji |
Jak dodać nowe zdjęcia?
Komentarze: ⇵
Sekcja komentarzy służy wymianie informacji, poglądów, oraz innych informacji pomiędzy użytkownikami Bazy. Prezentowane tutaj wypowiedzi należą bezpośrednio do ich autorów i nie stanowią treści informacyjnej tej strony.
[Dodaj nowy komentarz]
Bardzo prosimy o zamieszczanie komentarzy merytorycznych i napisanych w sposób kulturalny. Dzięki temu czytanie ich będzie dla wszystkich przyjemniejsze. Redakcja zastrzega sobie prawo odrzucania, usuwania, bądź niezmieniającą merytorycznego przekazu ingerencję w treść komentarzy (moderację) bez podania przyczyny.
Stacja kolejowa Mogielnica
Ogólnopolska Baza Kolejowa